Hawksbill Turtle

Leah

About Leah

ID Number

0036

Age

Sub Adult

Gender

Female

Tags

None Visible

Markings

Distinctive curvature to posterior marginal scutes, white mark above. Old injury on 2nd right coastal scute.

Leah Sighting Info

First Sighted By
Dive Site Info

Depth Sighted 4-5m

Date and Time

31/01/2025 08:30

Sighted By Big Blue

6 time(s)

Leah's Taxonomic Classification

Domain: Eukarya

Kingdom: Animalia

Phylum: Chordata

Class: Reptilia

Order: Testudines

Family: Cheloniidae
Genus: Eretmochelys
Species: Eretmochelys imbricata

Common name: Hawksbill Turtle

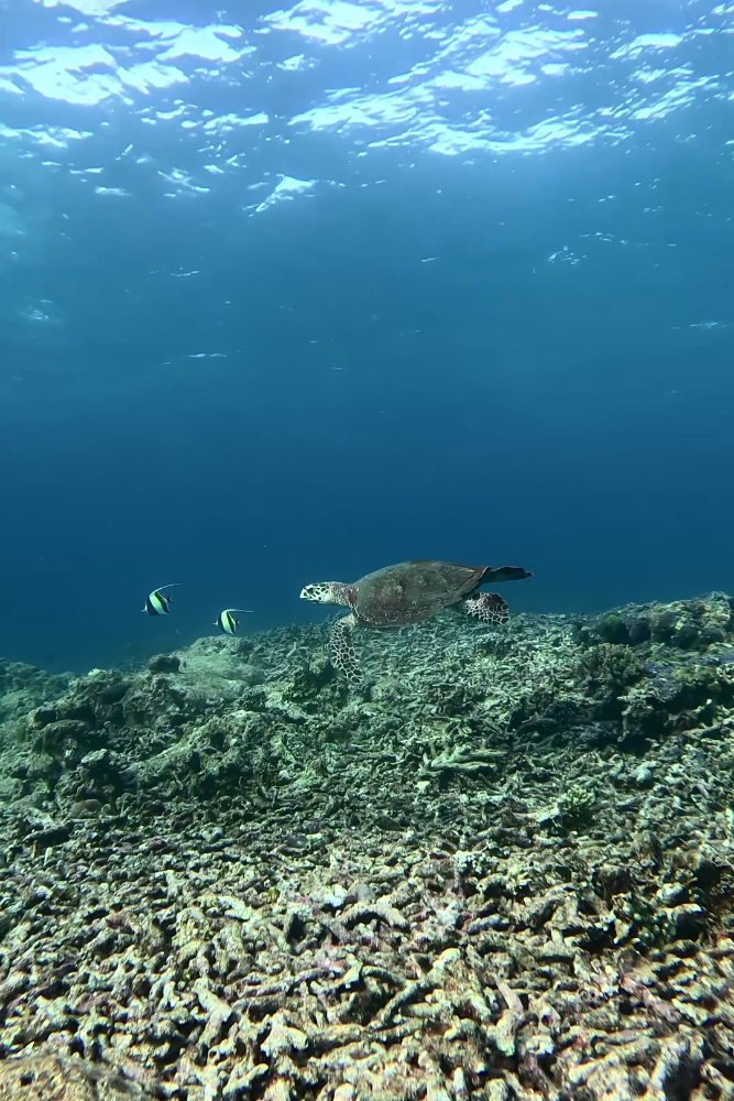
Photograph by: Sam Hunt
About This Photo

Wow – what a story Leah has to tell! Leah is a very special turtle, as she was the first individual identified at Ao Pakad during Andaman Turtle Watch’s very first season. What we didn’t know at the time was that this site would go on to consistently produce some of the most memorable turtle encounters. In fact, 16 turtle sightings were recorded at Ao Pakad in the first season alone, with Big Blue Diving Khao Lak being the only dive centre to report sightings from this site.

Leah also has a unique connection with one of the Big Blue team. All six sightings of Leah in the Andaman Turtle Watch database were recorded by instructor Sam Hunt, who fondly named her after his sister Leah back in the UK. In an incredible twist of fate, later that season Leah (in human form) visited Sam in Thailand to explore the underwater marvels of the Andaman Sea – and during her dive at Ao Pakad she came face to face with Leah the turtle, her namesake! It was a magical moment Leah will never forget, and a perfect example of the personal connection Andaman Turtle Watch creates between people and the turtles that inspire conservation action across the world. Small moments like these remind us that the ripple effect of community science and shared experiences should never be underestimated.

Since then, Leah has also been observed interacting with other unique hawksbills. Three social encounters have been reported between Leah and 0042 Andy, and one particularly special sighting involved Leah together with both Andy and 0052 Nelly Noo. In all her sightings at Ao Pakad, Leah has been observed foraging in the shallows, often accompanied by cleaner wrasse tending to her carapace.

These repeated observations raise important ecological questions: could Ao Pakad be a significant foraging ground and cleaning station for hawksbill turtles within the Surin Islands National Park? At this stage, we can’t say for certain – but what’s clear is that this site holds great importance. That’s why Big Blue Diving Khao Lak remains committed to working with Andaman Turtle Watch to gather more data and support the conservation management of turtles and their critical habitats across the Andaman Sea.

Other Photos Of Leah

Proud Partners in Sea Turtle Conservation

This turtley awesome data is provided by Andaman Turtle Watch (ATW).

Updated 29 August 2025

Since October 2024, ATW has partnered with Big Blue Diving Khao Lak – the leading contributor of sea turtle sightings in the Andaman Sea. Big Blue’s team routinely photographs and reports turtles, playing a vital role in helping ATW monitor and protect them.

Learn more on our ATW info page, join the Facebook group, or contact Eve at andamanturtlewatch@gmail.com.

Other Photos of Hawksbill Turtles

2026 - 2027 SIMILAN DIVING SEASON - EARLY BIRD DISCOUNT

SAVE 10% + BOOK NOW, PAY LATER

10% off all cabin prices when you book 2026-2027 now. Just 20% deposit secures your spot—full balance not due until 1st October 2026.