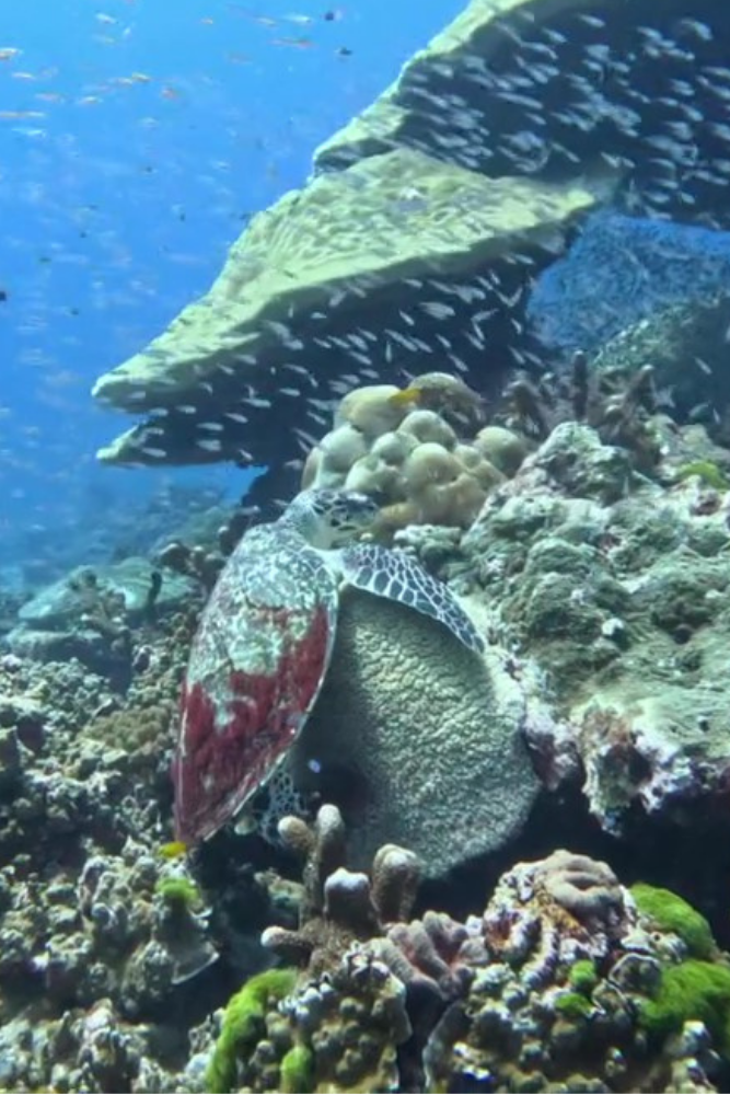
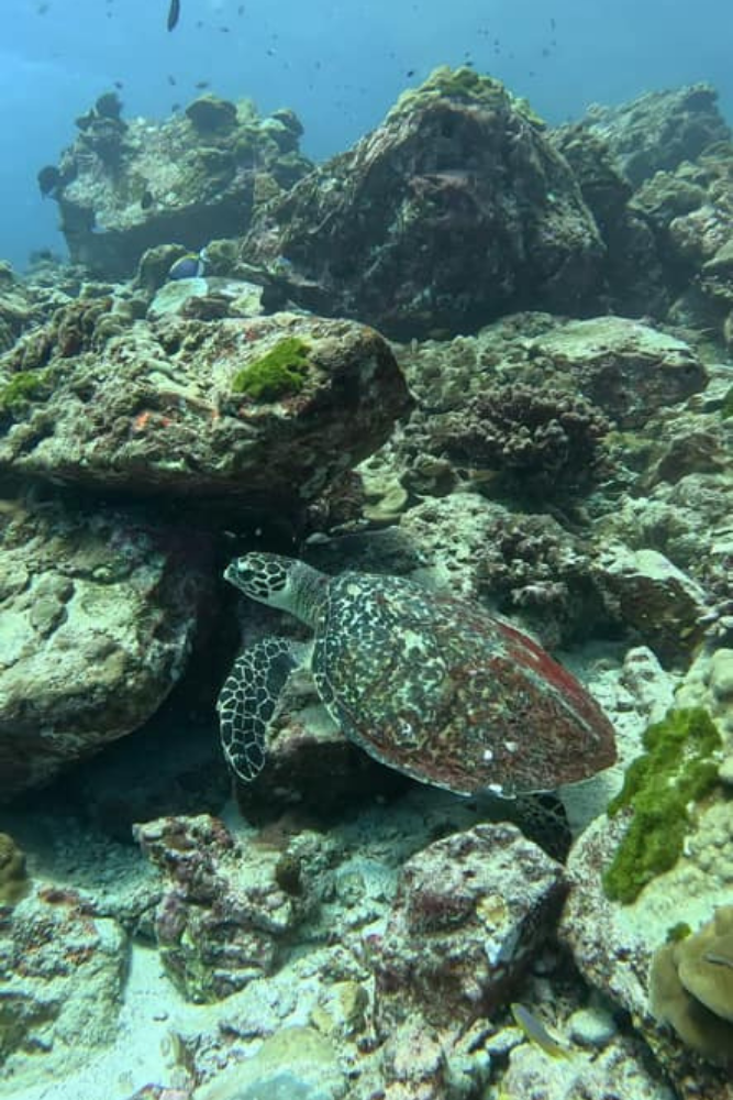
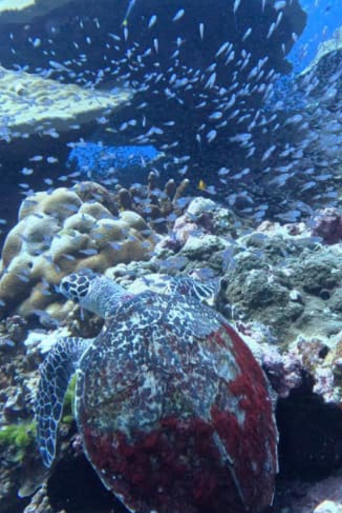
Hawksbill Turtle

Joel

About Joel

ID Number

0022

Age

Sub Adult

Gender

Female

Tags

None Visible

Markings

Old injury to left hind flipper.

Joel Sighting Info

First Sighted By
Dive Site Info

Depth Sighted 4-16m

Date and Time

25/12/2024 11:00

Sighted By Big Blue

4 time(s)

Joel's Taxonomic Classification

Domain: Eukarya

Kingdom: Animalia

Phylum: Chordata

Class: Reptilia

Order: Testudines

Family: Cheloniidae
Genus: Eretmochelys
Species: Eretmochelys imbricata

Common name: Hawksbill Turtle

Photograph by: Sam Hunt
About This Photo

Joel was first reported to Andaman Turtle Watch by Big Blue’s Sam Hunt in a very special Christmas Day double turtle bonanza at Koh Bon, where Joel was seen interacting with another hawksbill, Christie. Sam fondly named both turtles after his brothers back in the UK.

Since then, Joel has proven to be a rather social turtle! Out of the 7 observations submitted to the Andaman Turtle Watch database (4 by the Big Blue team), Joel has been recorded in social interactions on two occasions – once again with Christie, and once with Tula.

Although Joel carries the name of Sam’s brother, we believe Joel is actually a female sub-adult hawksbill. This assumption is based on the lack of a prominent tail, though we’ll only know for certain once Joel reaches full size. Who knows – perhaps one day she’ll return to nest along the Andaman coast or Similan Islands!

Joel has only been recorded at dive sites around Koh Bon, often seen feeding on coral, bubble coral, and grazing on algae from the rocks. She can be recognised by a small, old injury to her hind left flipper, as well as a distinctive (though temporary) straight line in the red algae down the centre of her carapace. While this marking won’t be a long-term ID feature, it became a helpful way for divers to recognise her during ATW’s first season. We’ll be watching closely to see how Joel’s story develops in the seasons ahead.

Other Photos Of Joel

Proud Partners in Sea Turtle Conservation

This turtley awesome data is provided by Andaman Turtle Watch (ATW).

Updated 29 August 2025

Since October 2024, ATW has partnered with Big Blue Diving Khao Lak – the leading contributor of sea turtle sightings in the Andaman Sea. Big Blue’s team routinely photographs and reports turtles, playing a vital role in helping ATW monitor and protect them.

Learn more on our ATW info page, join the Facebook group, or contact Eve at andamanturtlewatch@gmail.com.

Other Photos of Hawksbill Turtles

2026 - 2027 SIMILAN DIVING SEASON - EARLY BIRD DISCOUNT

SAVE 10% + BOOK NOW, PAY LATER

10% off all cabin prices when you book 2026-2027 now. Just 20% deposit secures your spot—full balance not due until 1st October 2026.