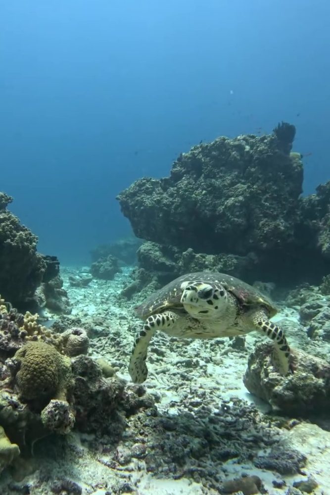
Hawksbill Turtle

Pitchaya

About Pitchaya

ID Number

0007

Age

Sub Adult

Gender

Female

Tags

None Visible

Markings

None Visible

Pitchaya Sighting Info

First Sighted By
Dive Site Info

Depth Sighted 10m

Date and Time

30/10/2024 11:30

Sighted By Big Blue

1 time(s)

Pitchaya's Taxonomic Classification

Domain: Eukarya

Kingdom: Animalia

Phylum: Chordata

Class: Reptilia

Order: Testudines

Family: Cheloniidae
Genus: Eretmochelys
Species: Eretmochelys imbricata

Common name: Hawksbill Turtle

Photograph by: Sam Hunt
About This Photo

Pitchaya is another elusive sea turtle – a female sub-adult hawksbill who has only been spotted once since the launch of Andaman Turtle Watch. First seen at Hideaway Bay, Similan Island 5, she hasn’t been reported again, underscoring the need for more sightings and more citizen scientists to help us build a stronger database and uncover more turtley awesome mysteries.

One of the unique strengths of Andaman Turtle Watch is how it makes sea turtle conservation accessible and relatable. In this case, Pitchaya was named by Sam after his partner, who just so happens to be a “turtle queen” herself and a Big Blue instructor. Sam has been on the lookout for Pitchaya ever since – we can’t wait to see when their paths cross again!

Other Photos Of Pitchaya

Proud Partners in Sea Turtle Conservation

This turtley awesome data is provided by Andaman Turtle Watch (ATW).

Updated 29 August 2025

Since October 2024, ATW has partnered with Big Blue Diving Khao Lak – the leading contributor of sea turtle sightings in the Andaman Sea. Big Blue’s team routinely photographs and reports turtles, playing a vital role in helping ATW monitor and protect them.

Learn more on our ATW info page, join the Facebook group, or contact Eve at andamanturtlewatch@gmail.com.

Other Photos of Hawksbill Turtles

2026 - 2027 SIMILAN DIVING SEASON - EARLY BIRD DISCOUNT

SAVE 10% + BOOK NOW, PAY LATER

10% off all cabin prices when you book 2026-2027 now. Just 20% deposit secures your spot—full balance not due until 1st October 2026.