Hawksbill Turtle

Donatello

About Donatello

ID Number

0050

Age

Sub Adult

Gender

Unknown

Tags

None Visible

Markings

None Visible

Donatello Sighting Info

First Sighted By
Faustine Ducarre
Dive Site Info

Depth Sighted 8-11m

Date and Time

24/03/2025 14:00

Sighted By Big Blue

2 time(s)

Donatello's Taxonomic Classification

Domain: Eukarya

Kingdom: Animalia

Phylum: Chordata

Class: Reptilia

Order: Testudines

Family: Cheloniidae
Genus: Eretmochelys
Species: Eretmochelys imbricata

Common name: Hawksbill Turtle

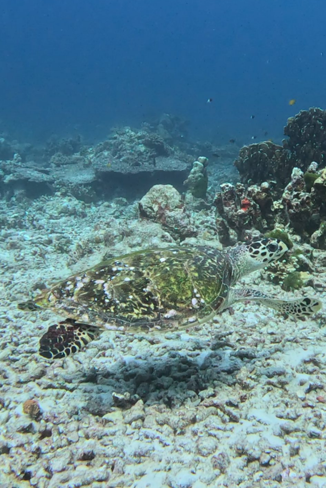
Photograph by: Sam Hunt
About This Photo

Donatello is a sub-adult hawksbill turtle, named fondly after the Teenage Mutant Ninja Turtles by Faustine Ducarre, a freelance instructor in Khao Lak. Since that first encounter, Donatello has been reported another two times by the Big Blue team, with all three sightings occurring around Similan Island 9.

Observers consistently describe Donatello as a “tiny turtle,” and in one encounter he was seen foraging in the same area as another individual, 0064 Undetermined. He also boasts pronounced serrated edges along the marginal scutes – a typical identifying feature of sub-adult hawksbills.

Andaman Turtle Watch is working hard to catalogue as many sea turtles as possible across the Andaman Sea. The more sightings we record, the more powerful our data becomes – and the stronger the conservation actions that can follow. Big Blue encourages everyone – tourists, locals, divers, snorkellers, and fishermen – to join the movement and report sea turtle sightings to Andaman Turtle Watch. Together, we can spot, share, and save sea turtles in the Andaman Sea.

Other Photos Of Donatello

Proud Partners in Sea Turtle Conservation

This turtley awesome data is provided by Andaman Turtle Watch (ATW).

Updated 29 August 2025

Since October 2024, ATW has partnered with Big Blue Diving Khao Lak – the leading contributor of sea turtle sightings in the Andaman Sea. Big Blue’s team routinely photographs and reports turtles, playing a vital role in helping ATW monitor and protect them.

Learn more on our ATW info page, join the Facebook group, or contact Eve at andamanturtlewatch@gmail.com.

Other Photos of Hawksbill Turtles