Hawksbill Turtle

Minky

About Minky

ID Number

0016

Age

Sub Adult

Gender

Female

Tags

None Visible

Markings

White mark on1st right coastal scute.

Minky Sighting Info

First Sighted By
Dive Site Info

Depth Sighted 7-15m

Date and Time

03/12/2024 07:00

Sighted By Big Blue

3 time(s)

Minky's Taxonomic Classification

Domain: Eukarya

Kingdom: Animalia

Phylum: Chordata

Class: Reptilia

Order: Testudines

Family: Cheloniidae
Genus: Eretmochelys
Species: Eretmochelys imbricata

Common name: Hawksbill Turtle

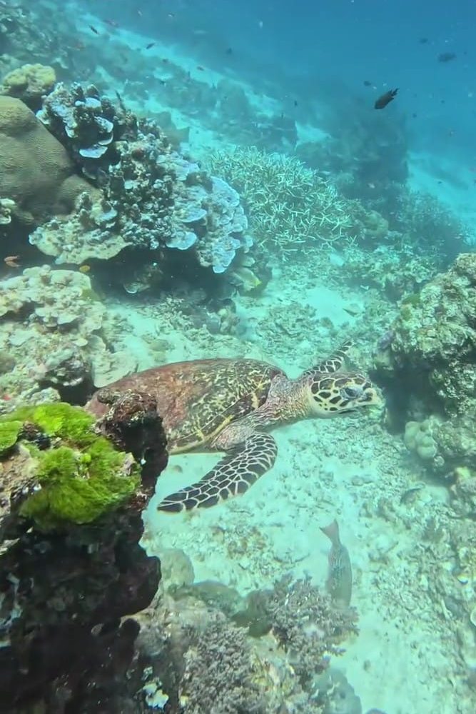
Photograph by: Pitt Pitchayanan
About This Photo

Minky is a sub-adult female hawksbill turtle first identified by Big Blue’s very own Pitt Pitchayanan, who kindly passed on the naming rights to the family that shared this magical encounter with her. True to her reputation, Pitt described Minky as being “a little greedy” during that first sighting – and it’s not hard to see why! Minky was so determined to reach her next meal that the strong current at Three Trees flipped her completely upside down and over, making for some very entertaining viewing. This unusual moment also gave us a perfect look at her plastron and tail (or lack thereof), which, combined with her size, confirms that Minky is indeed a female hawksbill.

It actually took Andaman Turtle Watch a little while to accurately identify Minky’s unique markings on her lateral scales (the side of her face). That’s because every time she was spotted, her head was buried in coral or under rocks searching for food. She was simply too busy eating to show us her beautiful face!

Since then, Minky has been reported to the Andaman Turtle Watch database a total of 8 times – every single sighting from around Similan Island 9. This strongly suggests that she may be another resident hawksbill calling the reefs on the north coast of the island home. Big Blue is excited to get back into the water in the coming seasons to see if Minky, along with her friends, continues to forage in this ecosystem, and to learn more about the importance of this reef for hawksbill turtles.

Andaman Turtle Watch relies on sightings like these, and we are proud to contribute our encounters to the project. With more divers and snorkelers acting as citizen scientists, more eyes in the water means more data – and ultimately more knowledge to support conservation management strategies here in the Andaman Sea.

Other Photos Of Minky

Proud Partners in Sea Turtle Conservation

This turtley awesome data is provided by Andaman Turtle Watch (ATW).

Updated 29 August 2025

Since October 2024, ATW has partnered with Big Blue Diving Khao Lak – the leading contributor of sea turtle sightings in the Andaman Sea. Big Blue’s team routinely photographs and reports turtles, playing a vital role in helping ATW monitor and protect them.

Learn more on our ATW info page, join the Facebook group, or contact Eve at andamanturtlewatch@gmail.com.

Other Photos of Hawksbill Turtles

2026 - 2027 SIMILAN DIVING SEASON - EARLY BIRD DISCOUNT

SAVE 10% + BOOK NOW, PAY LATER

10% off all cabin prices when you book 2026-2027 now. Just 20% deposit secures your spot—full balance not due until 1st October 2026.