Blue Dolphin Similan Liveaboard

Trip BB2503 Turtle Conservation Special

Departed
28 October 2025
Returned
1 November 2025
Departs From

Khao Lak, Thailand

Dives

14 dives

Similan Liveaboard Trip BB2503 Turtle Conservation Special

Trip Report – Similan & Surin Liveaboard Adventure

Day 1 – Waking Up in Paradise

There’s something truly magical about opening your eyes in the Similans. We woke to gentle seas and a light rain shower passing through Hideaway Bay – but spirits were anything but dampened! Instead, it gave us a peaceful start and plenty of anticipation to get underwater.

Our first dive at Hideaway Bay and the wreck set the tone beautifully – crystal-clear visibility and reefs buzzing with life. A standout sighting early on was a comet longfin, always a treat to spot.
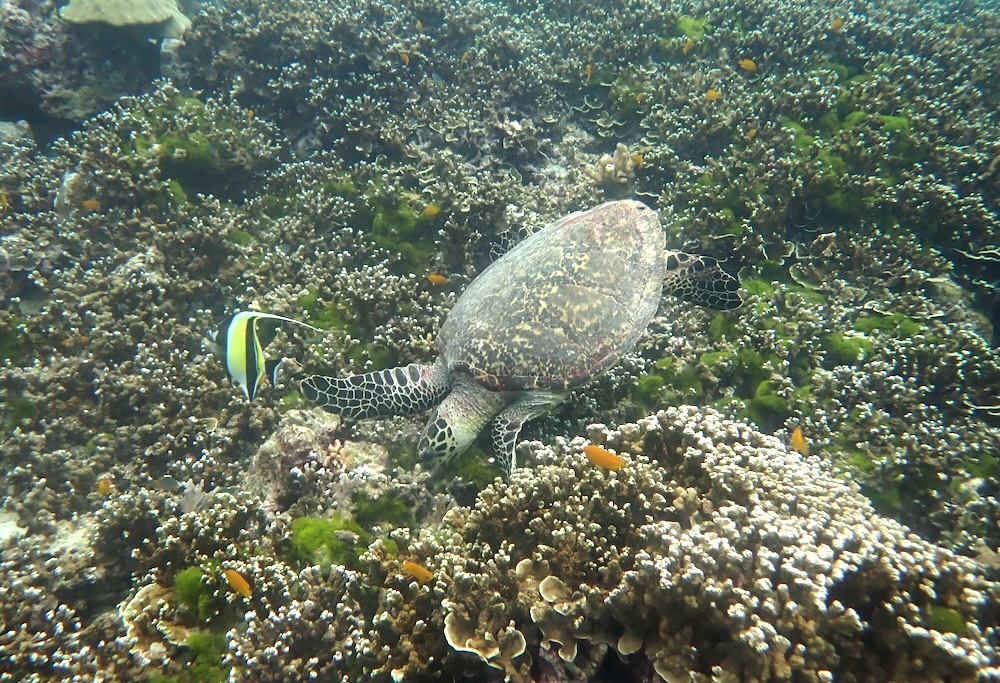
From there, we braved some lively swell at Deep Six before heading to Three Trees, which quickly became Turtle Town! Between all groups, we clocked three sea turtle sightings – perfect timing after our morning turtle talk with Eve, where we discussed citizen science and how much we learn from diver photos and videos.

Back on board, everyone got stuck into turtle ID – and here’s the roll call:

  • Minky 0016 (Hawksbill)
  • Maureen 008 (Hawksbill) — named after Sam Hunt’s mum
  • Red Ruby 0080 (Hawksbill) — newly identified this trip from Alex Rhodes’ footage, and the honour of naming it went to Team Singapore

We rounded off the day at Beacon Reef where we struck gold with a pair of harlequin shrimp – a rare and wonderful find in the Similans!

Despite a few dramatic rain showers and a slightly shuffled schedule, the diving was absolutely brilliant. A cracking first day underwater.

Day 2 – Sharks, Swell & Spectacle

We kicked things off at Christmas Point, bathed in sunshine and greeted by schooling bannerfish, surgeonfish and even a large white-tip reef shark cruising by. Not a bad start to the morning!

Next up was Koh Bon East, where a rolling swell added a bit of character to our entry. Schools of bannerfish and parrotfish darted around, clearly stirred up by something with a bigger appetite lurking nearby.

Then came our rainy ride up to Koh Tachai – the monsoon clouds opened up, but just as quickly the sky cleared, giving us our moment to jump in… and we had the site all to ourselves. The pinnacle was alive — bluefin and giant trevallies hunting in packs, fusiliers swarming around the dome, and divers surfacing saying they felt lost in a cloud of fish.

Night dive time at Koh Tachai Reef, and wow — sharks, sharks, sharks! We counted at least five individuals patrolling the reef, including one absolute unit pushing 2 metres. An unforgettable evening drift through the shallows with reef sharks on the move.

Day 3 – Richelieu Rock in All Its Glory

We woke in the Surins to the best weather of the trip and made an early dash to Richelieu Rock. Good decision — the sea was kind, and Richelieu was on fire.

Four incredible dives, each one reminding us exactly why Richelieu is considered one of the world’s top sites. Non-stop hunting action from sunrise to sunset, swirls of colour, and guests surfacing wide-eyed and grinning. Pure magic.

Day 4 – A Perfect Farewell

Our final morning brought us back to Koh Bon for two more glorious dives. The pinnacle stole the show — hovering above the rock, watching endless schools circle below, it was the perfect peaceful moment to reflect and take it all in.

And just like that, our first official “turtle trip” came to a close — complete with a brand-new turtle ID: Red Ruby 0080. Shell yeah!

It was wonderful to welcome returning guests onboard and fantastic to see new faces joining the Big Blue family too.

Eve’s turtle-focused trip report will land in a day or two, and if you’d like to stay connected with Andaman Turtle Watch and Living Blue, let us know — we’d love to keep you up to date with all the exciting developments.

Congratulations to Sjoerd, Isabella and Nathainial on completing their SSI Nitrox Diver course on board. May you go forth and blow many enriched bubbles in the future.

Until the next adventure! ????????

Big Love from Boots and the Blue Dolphin team

Similan Liveaboard Trip BB2503 Turtle Conservation Special Gallery

Instagram

Keep up with our Similan Liveaboard trips on Instagram

Google Reviews

Read our reviews on Google Maps or leave your own there

Trip Advisor

Please leave us a review on Trip Advisor or read what others say about us

Big Blue On Instagram

2026 - 2027 SIMILAN DIVING SEASON - EARLY BIRD DISCOUNT

SAVE 10% + BOOK NOW, PAY LATER

10% off all cabin prices when you book 2026-2027 now. Just 20% deposit secures your spot—full balance not due until 1st October 2026.